Коммерческая земля в Лесном

Обзор
Стоимость
27 000 000
Площадь участка, сот30
Тип сделки авито коммерческаяПродажа
Право собственностиПосредник
Тип коммерческойЗемли коммерческого назначения
Площадь, кв.м.3000
Адрес
Населенный пунктпосёлок городского типа Лесной
Номер дома
В избранное Коммерческая земля в Лесном

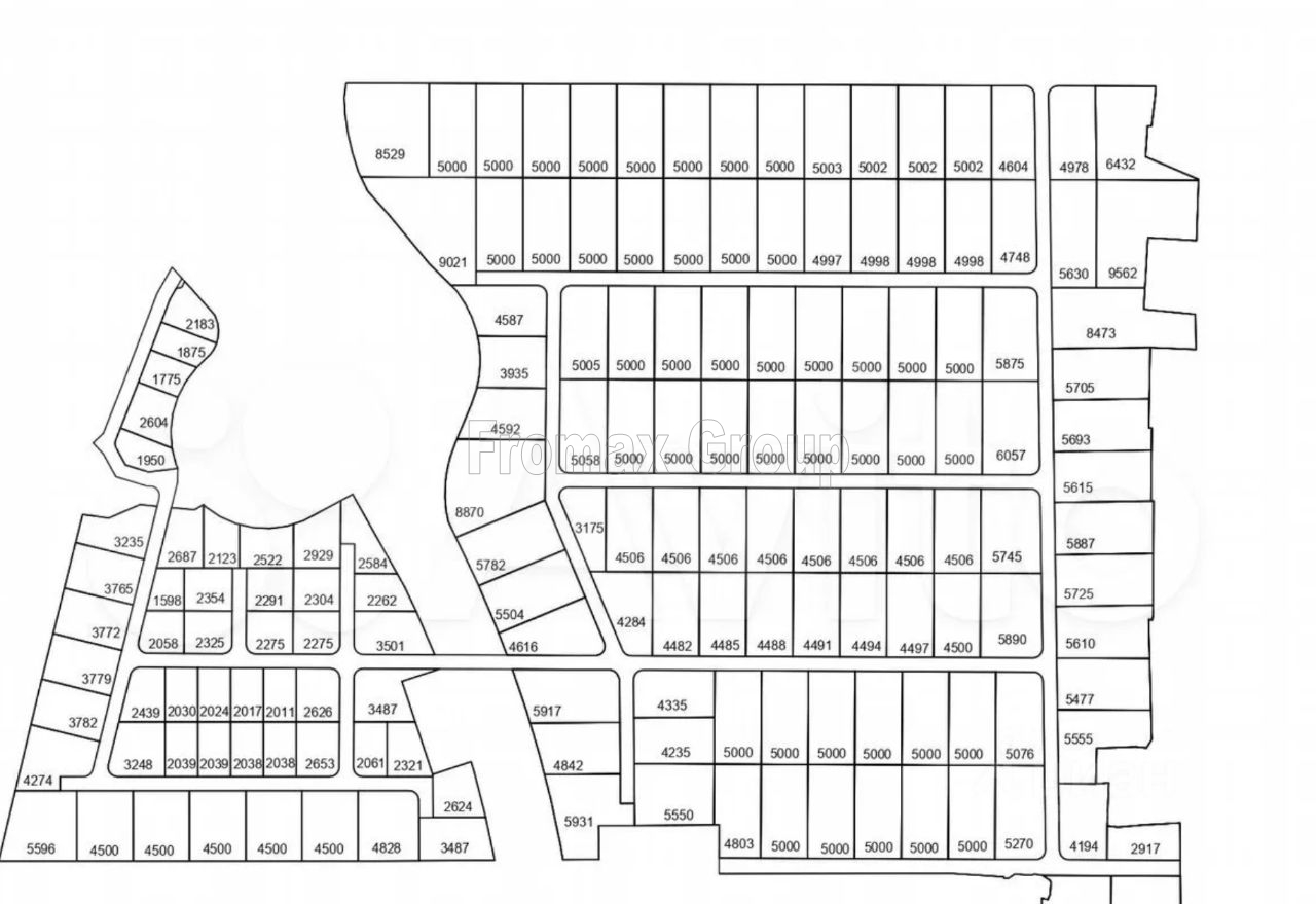
Код объекта 4059. Продаётся участок в формирующемся технопарке.  Отличный съезд с Ярославского шоссе, первая линия. ВОзможно увеличение участка засчёт покупки соседнего/соседних. Общая площадь технопарка - более 80 ГА! Категория земель: Земли промышленности, энергетики, транспорта, связи, радиовещания, телевидения, информатики, обеспечения космической деятельности, обороны, безопасности и иного специального назначения. 

 Коммуникации: Электроснабжение - возможность подключения с мощностью от 150 кВт до 50 МВА по запросу; Газоснабжение - возможно; Водоснабжение, Канализация - скважины и септики ;

Идеально подойдёт для небольшого производственного предприятия, склада, автосервиса и т.д. Отличная транспортная доступность, близость инфраструктуры п. Лесной, оптимальный размер участка - идеальное комбо для вашего бизнеса. 

Расположение

Важно! На карте не всегда указано точное местоположение. Более точную информацию можно узнать у менеджера, разместившего объект
ЗА
ЧЕСТНЫЙ БИЗНЕС